Description
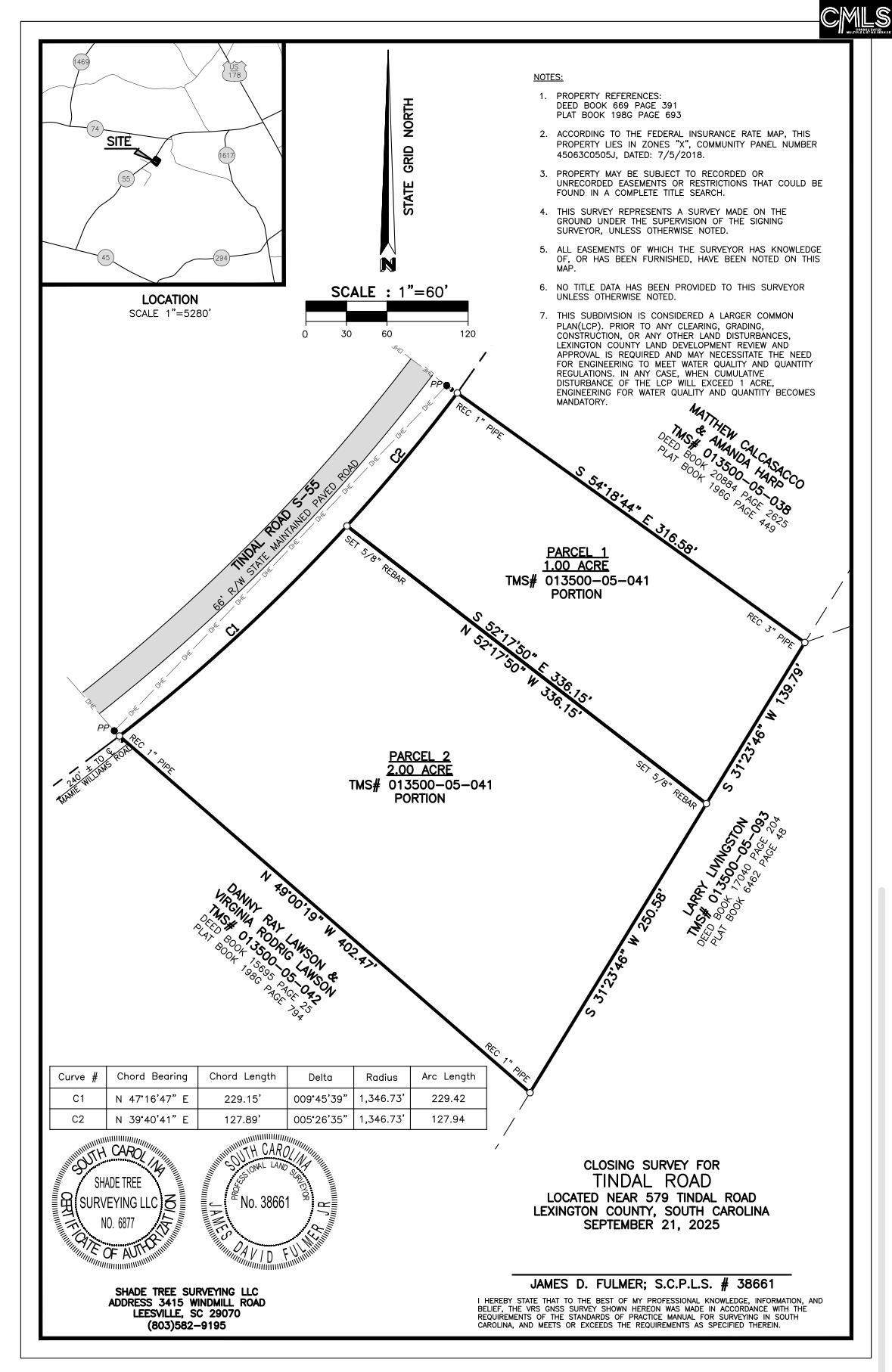
Discover the opportunity for true independence with a newly created 1-acre parcel, located just 3 miles south of Pelion off Tindal Road. With no HOA restrictions, this property offers the flexibility to build your dream home, add a shop, barn, or mobile home, or invest for the future. The land features gently rolling topography and mature planted pines, providing natural privacy and potential timber value. Zoned for Lexington School District One and conveniently located near the Columbia Metropolitan area, this property combines peaceful country living with easy access to town. 2 additional parcels available may be purchased individually or together—don’t miss this versatile land opportunity! Seller willing to add a mobile home to the property and sell turn key with agreed to price. Disclaimer: CMLS has not reviewed and, therefore, does not endorse vendors who may appear in listings.
-
0BEDS
-
1ACRES
-
0BATHS
-
01/2 BATHS
School Information
Description
Discover the opportunity for true independence with a newly created 1-acre parcel, located just 3 miles south of Pelion off Tindal Road. With no HOA restrictions, this property offers the flexibility to build your dream home, add a shop, barn, or mobile home, or invest for the future. The land features gently rolling topography and mature planted pines, providing natural privacy and potential timber value. Zoned for Lexington School District One and conveniently located near the Columbia Metropolitan area, this property combines peaceful country living with easy access to town. 2 additional parcels available may be purchased individually or together—don’t miss this versatile land opportunity! Seller willing to add a mobile home to the property and sell turn key with agreed to price. Disclaimer: CMLS has not reviewed and, therefore, does not endorse vendors who may appear in listings.
© 2026 Consolidated Multiple Listing Service, Inc. All rights reserved. IDX information is provided exclusively for consumers' personal, non-commercial use and may not be used for any purpose other than to identify prospective properties consumers may be interested in purchasing. Information is deemed reliable but is not guaranteed accurate by the MLS or Yip Premier Real Estate LLC. Data last updated: 2026-01-14T13:40:24.987.
